Občanské stavby
Autor: MUDr.Rudolf Gerbec, František Lydie Gahura
MUDr.Rudolf Gerbec - autor myšlenky,koncepce a principů hřbitova
František Lydie Gahura - autor projektu,dvou křížů,náhrobků Baťovy rodiny a dalších
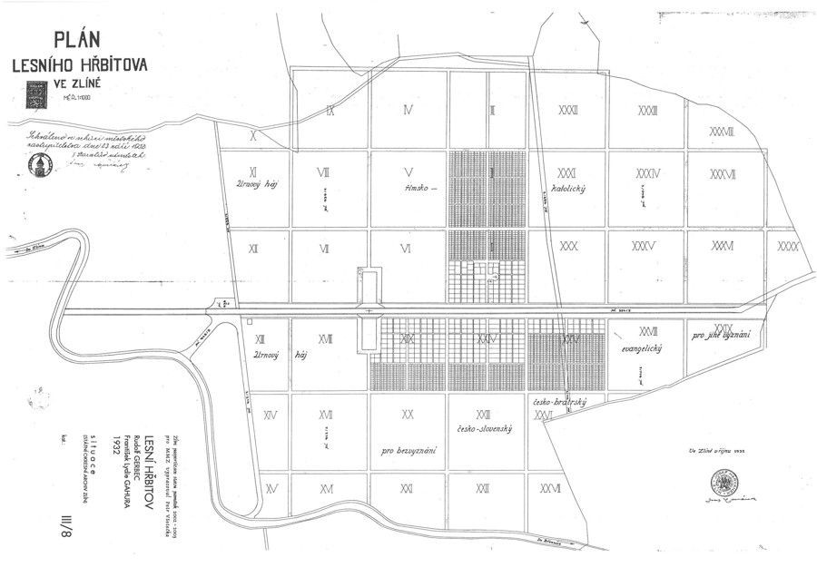
Původní hřbitov se rozprostíral jihovýchodně od hlavního zlínského náměstí a měl rozlohu 5.143 m2 koncem 30.let 20.stol. začala být jeho kapacita nedostačující. Pro nový hřbitov byl zvolen prostor smíšeného březnického lesa. Zbudována byla pouze hlavní hřbitovní komunikace. Skupiny hrobů byly přístupny jen lesními cestičkami. Autor usiloval o zachování kvalitního přírodního prostředí . Této myšlence byl podřízen i charakter všech výtvarných prvků, především pomníků - neměli být okázalé ,mohutné ani z nápadných materiálů. Starosta Tomáš Baťa podal městskému zastupitelstvu 20. 6. 1930 návrh na zřízení Lesního hřbitova na ploše 20 ha. Výměrem okresního úřadu v UH roku 1931 bylo povoleno zřídit Lesní hřbitov. Součástí bylo schválení hřbitovního řádu a poplatků. Projektován byl panem Gahurou, inspiraci si přinesl Tomáš Baťa z Ameriky a lesního hřbitova Bor u Č. Lípy kolem roku 1909. Hlavní myšlenka byla zřídit hřbitov, který by byl vzdálen od průmyslového ruchu a rychle se rozrůstajícího města. Bylo tím vyřešeno pohřbívání na 100 let - plánovalo se s 30 000 hrobovými místy při době tlení 15 let. Prvním pochovaným byl syn MuDr. Gerbece, dalším pak byl zakladatel továrny a města Tomáš Baťa (14. 7. 1932)a jeho pilot Jindřich Brouček. Tyto hroby se stávají základem skupiny čestných hrobů baťovy rodiny a blízkých spolupracovníků. Hřbitov byl vysvěcen v roce 1932 ThDr. Hejšlem a v roce 1934 byla vybudována nová cesta na Lesní hřbitov.
Nynější les je smíšený porost ve stáří 80 až 100 let, který je veden jako les zvláštního určení, plochy vně hřbitova jsou hospodářský les. V současné době je na Lesním hřbitově evidováno 11 583 hrobových míst, z toho tradičních do země 4 600, urnových míst 2 519 a vsypových míst 4 464. Město Zlín zabezpečuje prostřednictvím společnosti Pohřebnictví Zlín, spol. s r.o., důstojná místa posledního odpočinku všem, kteří zde žili a pracovali. V historické době se vlivem církve ustálil, až na několik století, výlučný způsob ukládání těl zesnulých do rakví a v nich do země či hrobky. Průlom do této zvyklosti učinilo 20. století zpopelňováním a následným ukládáním popele do uren, které se ukládají do země, do výklenku kulumbárií nebo se ponechají na povrchu hrobky v upravené vitrínce. Myšlenka zpopelňování zesnulých vychází z očistného ohně a nutnosti, nerozšiřovat podstatně plochy hřbitovů na úkor zemědělské půdy a nezbytné zástavby. V roce 1979 byla na Lesním hřbitově dokončena stavba krematoria od akad.arch. J.Čančíka. Od stejného autora je i provozní objekt Lesního hřbitova, v 90.letech doplněn nadstavbou .
Vývoj ve hřbitovní kultuře značně ovlivnil všechny druhy ukládání zpopelňovaných ostatků. Takovým novým způsobem je vsyp popele na vsypovou loučku. Idea splynutí s přírodou je u nás na vsypové loučce doplněna krásou okolního přírodního prostředí - s uměleckými prvky a parkově udržovaným okolím.
Aplikace Mobilní rozhlas
Chcete dostávat do svého mobilu či mailu upozornění na blížící se nebezpečí, odstávky, poruchy a výpadky energií, ankety, pozvánky na kulturní a sportovní akce?
© 2026 Magistrát města Zlína
všechna práva vyhrazena
Podněty k webovým stránkám
Kontakt: webmaster@zlin.eu
Podněty k webovým stránkám
Kontakt: webmaster@zlin.eu

Registruj se k odběru novinek
Zaregistrujte svou e-mailovou adresu k pravidelnému odběru aktuálních informací z našeho webu